海南的迷你凤凰
——我钟爱的丽拟丝蟌


       亮蓝色的颜面,形状奇特、黄黑相间的绚丽翅膀,优雅的舞姿,这就是有着 "凤凰"美称的中国特有蜻蜓,丽拟丝蟌Pseudolestes mirabilis Kirby, 1900。丽拟丝蟌仅分布于中国海南岛,并且是拟丝蟌科 Pseudolestidae唯一的代表物种,其迷离的身世100多年来始终吸引着蜻蜓学家们的注意。历史上丽拟丝蟌分类地位曾经5度变更,曾先后被并入丝蟌科、丽蟌科、山蟌科,最后还是回到自己的科里,就象一个没人要的孩子,可谓"身世浮沉雨打萍"。究其原因主要在于其成虫独特的形态特征:翅脉简单,而前后翅无论大小还是色彩迥异,等等。

丽拟丝蟌Pseudolestes mirabilis,雄    



       初识丽拟丝蟌还是在2007年海南岛的多样性调查时,第一次看到活生生的它们在我身边翩翩飞起,采到了可爱的稚虫,并有幸目睹了自然状态下它们羽化的全过程。2011年在老挝的IUCN国际会议上,通过与国际同行的探讨,我开始意识到这一特殊物种的重要地位。同年在国际蜻蜓学报发表了对该物种稚虫的首次描述,继而2014年发文确定稚虫可收缩鳃簇这一重要生物学特征。由于稚虫特征在广义山蟌类豆娘系统发育研究中的重要价值,上述两项研究连同Dijkstra et al(2014)的系统发育研究,再次把丽拟丝蟌从广义山蟌科中拉回到它自己的科里,即拟丝蟌科。然而对该物种身世的研究远未停止。象丽拟丝蟌这样仅分布于一个不大的岛上,却自成一科的物种在蜻蜓目里绝无仅有,在整个动物界也不多见。它们从哪里来的?它们的兄弟姐妹是谁?在哪里?至今没人说的清,只能寄希望于将来覆盖面更广泛、技术手段更先进的研究了。

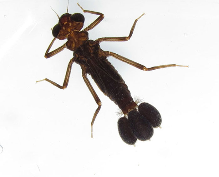
野外发现的丽拟丝蟌稚虫    



       要揭示丽拟丝蟌的离奇身世可能还需要一段时间。然而在海南连续多年的实地研究中,一个突出的问题日益引起我的注意,那就是岛上不断加速的城市化进程对该物种种群生存的威胁。我亲眼目睹了大量的房地产开发、旅游休闲等项目何等迅速地吞噬了大片的山林,很多栖息地正在逐年萎缩。然而IUCN的红色名录至今还没有收录丽拟丝蟌,也没有做过正式的评估,原因是DD,即生物、生态学信息不足。我意识到,为了能最终完善地研究该物种,是该为保护它做点什么了。

丽拟丝蟌稚虫背面照片    



丽拟丝蟌稚虫腹面照片    



       首先,为了预测其在海南的分布情况及其生态生物学特性,2013-2015年根据已知的分布信息,我们用生态位建模的方法对丽拟丝蟌进行了相关分析研究。随后,在此基础上进行了连续的、专门的野外调查及采样。经过详尽的分布调查及种群遗传学分析,前不久我们得出了出乎很多人意料的结果。很多去过海南的人常能在某些地方比较容易地看到并拍到丽拟丝蟌,而且数量还不少,为此认为该物种尚无生存威胁。然而事实是,海南的丽拟丝蟌种群在近期(更新世末次冰期)曾经历了显著的遗传漂变,遗传多样性很低,因此对环境变化的适应能力不强,极容易因气候及周边环境的变化而大幅波动,部分边缘的小种群(如东海岸的几个种群)已经濒于绝灭。种群数量和遗传多样性相对较高的中南部种群正在受到旅游和城市化的严重威胁,如果保护不利也难逃快速灭绝的厄运。为此我们在文中提出了具体的保护建议,诸如增设特别重要种群栖息地为保护区、建立长期监测项目、提高公众的意识等,希望对有关部门有所参考和帮助。我真心地希望丽拟丝蟌这一海南的标志物种能够长久的存在下去,它们美丽的身影应该成为海南永久的靓丽风景。

刚刚羽化的丽拟丝蟌    



于 昕  

2016-11-15